NZWA Stallions

NZWA Stallions: Search Results

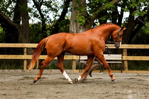
Waltzmeister WSH

NZWA Rating
  • 0 Star
Birth Year2020
ColourChestnut
Height (cm)169
BreedingWesterly Inc / Dancier / Aljano
Studbook of Birth
  • NZWB
Licensing DetailsLicenced Feb 2025 Lukas Weber & Vanessa Feuerstein
Approved For
  • NZWB
Country of BirthNew Zealand
Discipline
  • Dressage
LocationCanterbury
WFFSNon-Carrier
Service
  • Fresh / Chilled
Stud Fee$1,500

'Waltzmeister WSH' AKA 'Walter'

An exciting prospect carrying an impressive proven pedigree, boasting some of the most influential genetics across the disciplines in equestrian sport.

Sire line - Worldly / Amiral

Worldly by the legendary Weltmeyer, a prominent Hanoverian stallion, well-known dressage horse and sire. Successfully competed at advanced “S” level and Prix St. George. Imported to New Zealand later in life, he left a lasting impact on breeding internationally.

Amiral the prominent Swedish Warmblood Stallion a highly successful dressage horse and sport horse sire. Equally renowned for his performance-oriented temperament with a strong work ethic, magnificent presence and performance abilities.  He was a celebrated figure in the international dressage community and as a sire produced offspring who performed well in various disciplines.

Dam Line - Dancier/ Aljano /Contender and the powerhouse mare Tabell

Dancier - Champion Hanoverian Stallion – Son of the legendary De Niro.  An influential and prolific dressage sire known for passing on excellent rideability and quality gaits.

Aljano - German bred Holsteiner stallion competed in Grand Prix dressage is recognised for his versatility and breeding success in both dressage and show jumping.

Contender – Legendary Holsteiner known for his exceptional jumping ability and enduring influence on modern sport horse breeding. Considered one of the most influential sons of the jumping sire Calypso II and the famous broodmare Tabelle. His progeny excelled across all major disciplines including show jumping, eventing and dressage with hundreds competing internally.

His Dam - Danzar WSH awarded

  • Champion Mare of the 2025 classification tour with a phenominal overall score of 82.25% for Excellence. 83.5% conformation and 81% movement.
  • Dam of 'Tattooed Dancer WSH' - Champion Youngstock, classification tour 2025Supreme Champion Ridden Novice Horse of Show - Ellesmere 150th celebration 2021
  • Supreme ridden exhibit Ashburton 2021

This young stallion is the accumulation of blood and type set to breed your next competition prospect across the disciplines.  A very promising young stallion for New Zealand breeders,

Acclamations to date:

  • Champion Warmblood Youngstock NZ Ag Show
  • Waltzmeister WSH – Reserve Champion Dressage bred foal of the 2021 Classification tour.
  • 2025 Classification tour - He again impressed German Assessors during gaining great scores in Conformation (79%) and Movement (78.5%) divisions at his Stallion Licensing as a 4-yr old. Jump comment - showed good form over a fence, more time needed.  With 2 weeks training due to age, we agree, and look forward to learning from this and taking him further in time.

📸 Photo credit Bella Maitland Photography

0 Comments

Categories: NZWA Stallions, 0-StarNumber of views: 2034

Tags:

Name:
Email:
Subject:
Message:
x

Disclaimer: All information is provided by stallion owners. NZWA are not responsible for the accuracy or errors in a stallion profile.